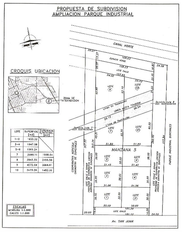
Ponen a la venta los lotes de la ampliación de área de Promoción Industrial

Desde la Secretaría de Desarrollo Económico y Cooperativismo se informó que a partir del próximo lunes 1º de julio, durante un plazo de 15 días, se abrirá el registro de inscripción para todos los interesados en adquirir lotes en el Área Municipal de Promoción Industrial.

En total, en este nuevo sector que oficia de ampliación del ya existente, serán 10 las parcelas que se pondrán a la venta y están ubicadas al oeste del actual parque industrial sobre calle San Juan. Los lotes, informaron, poseen una superficie que van desde 1934 m2 en adelante.

Los postulantes a adjudicatarios deberán realizar la inscripción pertinente en la Secretaría de Desarrollo Económico y Cooperativismo (Casa del Emprendedor – San Juan 2149), a través del formulario de solicitud de parcela, donde la información que brinde el aspirante tendrá carácter de declaración jurada.

Para conocer más detalles, dejamos disponible el texto de la Ordenanza Municipal N° 2298/2013.

AreaIndustrial_Plano

Relacionadas

Ultimas noticias