Nuevos nombres de calles en la ciudad

En el transcurso de la última sesión de agosto, el Concejo Municipal aprobó dos proyectos de Ordenanza, para designar los nombres de diferentes calles de la ciudad.

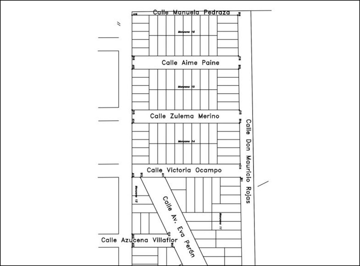
Una de las iniciativas impone la denominación de varias arterias ubicadas en Barrio Moreno, específicamente en el denominado loteo Rossi.

Teniendo en cuenta una nota remitida al Cuerpo Legislativo por parte de la Comisión Directiva de la Vecinal de dicho sector, uno de los nombres elegidos fue Don Mauricio Rojas, quien fuera el primer presidente de dicho grupo de trabajo. Junto a otros vecinos impulsó diferentes acciones, siendo la primera iniciar las gestiones ante la Comisión de Fomento, el Centro Comercial y gremios locales, para que soliciten a la Dirección de Ferrocarriles la colocación de una pasarela sobre las vías. Tiempo después, este pedido se ve concretado con la construcción de la misma.

El proyecto aprobado también destaca que esta Comisión Vecinal fue la primera en conformarse en Sunchales, en 1961.

Las nuevas calles ubicadas en el loteo Rossi, del Barrio Moreno.

En el marco de la Ordenanza N° 2300, la cual establece procedimientos para privilegiar los nombres de mujeres en las calles locales, con el objetivo de lograr paulatinamente un equiparamiento con las denominaciones que refieren a hombres, fueron designados para el mismo sector los siguientes nombres: Zulema Merino, Victoria Ocampo, Aimé Painé y Manuela Pedraza.

Zulema Merino fue una reconocida sunchalense, quien tuvo una intensa actividad tanto en la faz privada como pública, siendo la primera mujer en presidir una Sociedad Rural en nuestro país. Estuvo al frente de la Subsecretaría de Recursos Naturales de la provincia de Santa Fe, entre 1991 y 1994, y un año más tarde asumió como Diputada Provincial, cargo que desempeñó hasta 1998. Se dedicó a la pintura, a la enseñanza de idiomas y al periodismo televisivo y radial, entre otras muchas actividades.

Luego de su aprobación, el Concejo Municipal entregó una copia de dicha Ordenanza al hijo de Zulema, Santiago Dobler, quien se encontraba en el Recinto de Deliberaciones, ya que fue invitado especialmente para compartir este importante momento. Se hará lo propio con los actuales integrantes de la Comisión Directiva de la vecinal del Barrio Moreno.

En un segundo proyecto de Ordenanza se dispuso el nombre Madre Teresa de Calcuta, para la calle lateral del Cementerio Municipal, arteria perteneciente al Barrio Villa Autódromo.

El trazado y ubicación de calle Calcuta.

Relacionadas

Ultimas noticias